The Windsor Link Railway has been working with engineering consultants Pell Frischmann as well as Network Rail on completing formal project milestones (GRIP).
We are on target to have feasibility (GRIP 2) for the tunnel in Windsor completed by early 2017. The aim is to give a number of alignment options and to demonstrate compliance with railway standards for operability and safety. Also important for this next level of work will be confirmation of current cost and revenue estimates to ensure that value for money is still demonstrable.
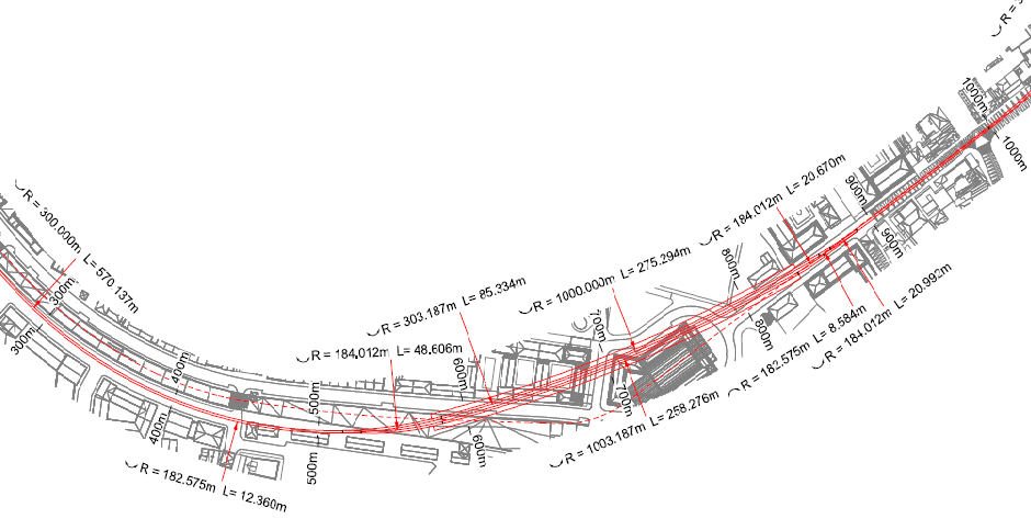
Click on the button below to see what is currently one of our candidate solutions aiming for:
- a great station arrival experience
- enhancing transport interchange
- capacity for up to 12 carriage trains
- platform curvature of less than 1000m radius
- curves and gradients within limits
- switches on level
- minimising construction disturbance
- safety
Note the alignment differs from that featured in our master plan, demonstrating how the design evolves as more detailed work is completed but still stays consistent with the overall vision of improving the public enjoyment of the riverside and views of the castle. At GRIP 3, we will have selected a preferred option and, at GRIP 4, have approval in principle for this. This should be completed by the end of 2017.
Click on the links for more details drawings of this proposal for horizontal and vertical alignments.



